
Национальный парк Бискейн — национальный парк США в Большом Майами.
Это крупнейший морской парк в системе национальных парков,
защищающий южную часть залива Бискейн, включая несколько самых
северных островов Флорида-Кис, мангровые заросли береговой линии,
мелководную бухту и живые коралловые рифы. Сухопутная часть состоит
из материковой части и нескольких неосвоенных островов. Национальный
парк Бискейн — отличное место для отдыха на свежем воздухе и в воде
или просто для отдыха.
Водная часть национального парка
Бискейн открыта круглосуточно. Адамс-Ки (доступный только на лодке
или вплавь) предназначен только для дневного использования.
Конвой-Пойнт на материке, где находится штаб-квартира парка и центр
для посетителей, открыт ежедневно с 7:00 до 17:30. Центр посетителей
Dante Fascell открыт ежедневно с 9:00 до 17:00. Аудиовизуальные
программы снабжены субтитрами и доступны на английском и испанском
языках.
Переводы брошюры парка доступны на испанском,
французском, немецком и японском языках.
В годы расширения 1950-х у некоторых было видение развития мостов,
дорог и зданий для ключей. Позже появился план по углублению дна
залива на 8000 акров (3200 гектаров) для создания реактивного порта.
В 1961 году 13 местных землевладельцев единогласно проголосовали за
создание города Исландия. Планы Seadade, крупного промышленного
морского порта, были объявлены в 1962 году. Предложение
предусматривало углубление канала глубиной 40 футов через прозрачные
мелководья залива.
Столкнувшись с массовым общественным
протестом, землевладельцы города Исландия пригнали бульдозеры,
пытаясь разграбить этот район. Названная «Шоссе Злобы», полоса
шириной в шесть полос и длиной в семь миль проходила прямо по
середине Эллиот-Ки. Сторонников парка это не смутило. Конгресс,
возглавляемый давним представителем Данте Фаселлом, создал
Национальный памятник Бискейн для защиты «редкого сочетания
наземной, морской и амфибийной жизни в тропическом окружении
невероятной природной красоты». Президент Линдон Б. Джонсон подписал
закон 18 октября 1968 года.
Национальный парк Бискейн состоит из четырех основных экосистем:
узкая опушка мангровых лесов вдоль береговой линии материка
южные просторы залива Бискейн
самые северные острова Флорида-Кис
начало третьего по величине кораллового рифа в мире.
Национальный парк Бискейн является домом для самого длинного
мангрового леса на восточном побережье Флориды. В 2001 году здесь
был обнаружен редкий семафорный кактус опунция, который растет
только в Южной Флориде. Кактус является кандидатом в федеральный
список исчезающих видов. Находящаяся под угрозой исчезновения пальма
Сарджента также существует в парке. Считается самой редкой пальмой,
произрастающей во Флориде. Первоначально он был найден на Эллиот-Ки
и Сэндс-Ки, но в конце 1800-х годов коллекционеры начали собирать их
для декоративных целей. В 1991 году на Эллиот-Ки было найдено всего
50 пальм. Многие из них также пострадали от урагана Эндрю. Сегодня
на Эллиотте насчитывается около 16 растений, а на Лонг-Ки — 123
благодаря усилиям, предпринятым для восстановления пальм на трех
первоначальных островах.
Заросли морских водорослей являются
важным экологическим компонентом. Они высокопродуктивны,
обеспечивают среду обитания для выращивания и укрытия мелких рыб и
беспозвоночных, а также служат пищей для самых разных животных и
создают среду обитания и разнообразие субстрата.
Кроме того,
несколько видов полевых цветов, суккулентов, полевых цветов и
папоротников дополняют различные деревья и кустарники.
Парк
является домом для многих находящихся под угрозой исчезновения
видов, в том числе вест-индского ламантина, восточной змеи индиго,
трубчатой ржанки, американского крокодила, сапсана,
бабочки-парусника Шауса, наименьшей крачки и 5 различных видов
морских черепах.
Махаон Шауса — большая красочная бабочка,
которая является эндемиком южной Флориды и внесена в список
исчезающих видов штата Флорида с 1975 года. Она была внесена в
федеральный список в 1984 году, когда, по оценкам, осталось всего 70
или меньше взрослых особей. Сегодня бабочка встречается только на
северном Ки-Ларго и нескольких небольших островах в национальном
парке Бискейн.
Наименьшая крачка была внесена в список штата
Флорида как вид, находящийся под угрозой исчезновения с 1975 года.
Большая часть причин сокращения их популяции связана с разрушением
среды обитания и вторжением. Гнездятся птицы на прибрежных или
островных пляжах, покрытых грубым субстратом из песка, ракушек или
мелких камней. В 1995 году на Солдат-Ки в национальном парке Бискейн
были замечены два гнезда с наименьшим количеством крачек, в каждом
из которых было по два яйца.
Популяции морских черепах
продолжают сокращаться во всем мире и в Соединенных Штатах из-за
потери мест гнездования, мест кормления, смертности из-за прилова
при ярусном промысле и ловле креветок, охоты на мясо и браконьерской
охоты на яйца. Головоногие, а иногда и ястребиные морские черепахи
используют несколько песчаных пляжей, которые существуют в
национальном парке Бискейн, в качестве мест для откладывания яиц.
Ежегодно откладывается в среднем 13,3 гнезда со средним размером
кладки 50 яиц. Программа гнездования морских черепах Национального
парка Бискейн отслеживает активность 10 пляжей в течение сезона
гнездования. В зависимости от местоположения на гнезда ставятся
защитные экраны, предохраняющие яйца от хищничества енотов.
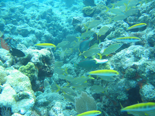
В
Национальном парке Бискейн обитает 512 видов рыб, длина которых
варьируется от менее дюйма до более 10 футов. Ихтиофауна
преимущественно умеренная и континентальная зимой и тропическая или
субтропическая летом. Некоторые из видов могут быть эвригалинными
(способными выдерживать широкий диапазон солености).
В парке
было зарегистрировано удивительное разнообразие млекопитающих, среди
которых три вида китов, атлантические афалин и ламантины, а также
рыси, олени, выдры, бразильские свободнохвостые летучие мыши, белки,
кролики и опоссумы.
В парке водятся омары и крабы, в том
числе гигантский сухопутный краб (который может вырасти до 12 дюймов
(30 см) от кончика клешни до кончика клешни).
Национальный парк Бискейн имеет субтропический климат, что обеспечивает солнце круглый год. Зимы здесь обычно сухие и мягкие, иногда бывают фронты, приносящие ветер и небольшой дождь. Лето приносит жаркую и влажную погоду с редкими грозами во второй половине дня. Средняя температура января составляет 68°F (20°C) и 82°F (28°C) в июле. Среднее количество осадков в этом районе составляет 2,17 дюйма (5,51 см) в январе и 3,95 дюйма (10,03 см) в июле. Возможно, самыми известными погодными явлениями в этом районе являются ураганы, которые обычно случаются с июня по ноябрь.
С севера
До Convoy Point можно добраться либо из Флоридской
Магистрали, либо из US-1. С Флоридского Магистраля: Возьмите
Флоридский Магистраль на юг, до Выхода 6 (бульвар Спидвей).
Поверните налево от съезда и продолжайте ехать на юг до S.W. 328th
Street (Северный канал). Поверните налево и продолжайте движение до
конца дороги (примерно 5 миль). Вход слева.
Из США-1: ехать
на юг к усадьбе. Поверните налево на SW 328th Street (North Canal
Drive) и продолжайте движение до конца дороги (примерно 9 миль).
Вход слева.
С юга
Путешествуя по US-1 (Overseas Highway),
езжайте на север к усадьбе. Поверните направо на SW 328th Street
(North Canal Drive - первый свет после въезда на Флоридскую
магистраль) и продолжайте движение до конца дороги. Вход примерно в
девяти милях слева.
Тарифы и разрешения
Там нет входных
плат. С любой лодки, пришвартованной после 18:00, в порту Бока-Чита
и Эллиотт-Ки с ноября по апрель взимается плата за стыковку в
размере 25 долларов США. С мая по октябрь плата за стоянку и походы
не взимается.
Более 95% парка покрыто водой. Посетители, у которых нет
собственной лодки, могут посетить центр для посетителей Dante
Fascell, посмотреть фильм или посетить программу рейнджеров, пройти
по пристани (примерно 1/4 мили в длину) или устроить пикник. Чтобы
выйти за пределы Convoy Point, потребуется отправиться на экскурсию
на лодке с гидом или арендовать каноэ или каяк. Там нет мостов или
паромов на острова, и только одна миля дороги во всем парке. В
кемпинге RV нет никаких удобств, а для палаток потребуется лодка,
чтобы добраться до островных парков.
Посетители с лодками
могут спуститься на своих лодках с пристаней для яхт, расположенных
рядом с парком. Усадьба Bayfront Park, 9698 SW 328th St, Усадьба, +1
305 230-3034.
Полная таблица парка в формате PDF, слишком
большая для отображения на этой странице, доступна на сайте NPS.
Доступность
Поскольку большая часть парка покрыта водой, для
доступа ко всему, что находится за пределами береговой линии
материка, требуется лодка. Концессионер парка предлагает прогулки на
лодке к паркам, рифам и островам, а также предлагает прокат каноэ и
каяков.
Центр для посетителей Dante Fascell и штаб-квартира
парка расположены в Конвой-Пойнт на материке, а пандусы, лифты и
тротуары делают эти районы полностью доступными для людей с
ограниченными физическими возможностями.
На островах
Бока-Чита-Ки, Эллиотт-Ки и Адамс-Ки имеются туалеты, но некоторые из
зданий - нет. На Эллиотте-Ки или Адамс-Ки нет тротуаров, но у
Бока-Чита-Ки есть тротуары вокруг гавани и в туалеты, но остальная
часть острова - газон и каменистая местность.
Экскурсии на
лодке, управляемые концессионером, обеспечивают ограниченный доступ
с помощью, но необходимо заранее договориться, позвонив по номеру
305-230-1100.
Конвой Пойнт
Туристический центр Данте Фаселла, Конвой-Пойнт, в 9
милях к востоку от города Хомстед. Идеальная первая остановка в любом
исследовании национального парка Бискейн. Здесь можно заказать лодочную
экскурсию или взять напрокат каноэ или каяк. Красивый музей предлагает
виртуальное путешествие по четырем экосистемам парка с использованием
диорам, аудио и видео. Вы можете почувствовать кости, перья, губки,
кораллы и многое другое на сенсорном столе, одном из самых популярных
функций в Центре для посетителей. В аудитории есть несколько фильмов,
которые помогут вам узнать о парке, в том числе 20-минутная презентация
Biscayne Connections на английском и испанском языках. В галерее
представлены работы местных художников, которые черпают вдохновение в
парке. Комплекс центра для посетителей также включает в себя книжный и
сувенирный магазин, предлагающий ограниченный выбор еды и напитков.
Бока Чита Ки
Самый популярный остров парка предоставляет
посетителям множество удобств. Есть кемпинг со столами для пикника и
грилем для барбекю. Дополнительные столы для пикника и грили для барбекю
расположены на южной стороне гавани возле павильона под открытым небом.
Имеются туалеты с морской водой, но, поскольку на острове нет ни пресной
воды, ни электричества, ни умывальников, ни душей. Пешеходная тропа
длиной в полмили начинается к востоку от туалетов. Тропа продолжается к
южной оконечности острова, поворачивая на север и выходя возле павильона
и места для пикника. Венцом острова и де-факто символом национального
парка Бискейн является декоративный маяк высотой 65 футов (20 м),
построенный Марком Хониуэллом, одним из бывших владельцев острова, в
1930-х годах. Маяк открыт с перерывами, когда на острове находятся
сотрудники парка или волонтеры. Со смотровой площадки открывается
панорамный вид на острова, залив, океан, Майами, Ки-Бискейн и горизонт
Майами-Бич.
Комары обитают на этом острове круглый год.
Никаких торговых точек нет.
Вывоз мусора не предусмотрен, и
отдыхающие и посетители должны упаковать весь свой мусор.
Вход в
гавань во время отлива составляет примерно четыре фута. Любое судно с
большой осадкой, требующее 3½ или более футов воды, должно проявлять
крайнюю осторожность в этом районе. Отлив рассчитывается путем
добавления одного часа и сорока трех минут ко времени отлива на
правительственном разрезе Майами. Прилив составляет плюс один час
двадцать четыре минуты от того времени, когда прилив в Майами
Правительственный разрез.
В гавани Бока-Чита есть рифленая переборка,
которая является единственным обозначенным местом, где могут
швартоваться лодки.
Лодки могут сплавляться не более чем на две
глубины. Домашние животные не допускаются ни на остров, ни на лодки в
гавани.
Эллиот Ки
Самый большой остров парка когда-то был
процветающим сообществом пионеров, занимавшихся выращиванием ананасов,
чисткой, разрушением и другими занятиями. Сегодня остров предлагает
кемпинг, пикник, купание, наблюдение за дикой природой и единственную
пешеходную тропу в парке. Столы для пикника и грили для барбекю
расположены на всей территории кемпингов и вокруг гавани. Имеются
туалеты с душем с холодной водой. Свежая питьевая вода находится за
пределами здания туалета. Рекомендуется взять с собой пресную воду на
случай, если генератор выйдет из строя.
Плавание и прогулка
Посетители могут насладиться специально отведенной зоной для купания на
берегу залива острова (к северу от гавани). Береговая линия острова, как
правило, каменистая, поэтому рекомендуется всегда носить обувь для
защиты ног.
Прогулки и походы Пешеходная тропа длиной в милю
начинается на берегу залива острова в северной части кемпинга. Из-за
повреждений, нанесенных сезоном ураганов 2005 года, променад на
восточной стороне острова закрыт. Уточните у персонала парка на острове
альтернативные маршруты. Шоссе Злобы, названное противниками парка
незадолго до его основания, проходит примерно в шести милях от центра
острова и дает хорошую возможность увидеть разнообразные места обитания
в приморском лесу.
Рыбалка разрешена с дока для обслуживания,
расположенного к югу от гавани, или с береговой линии за пределами зоны
плавания с буйками и запретной зоны. Может потребоваться лицензия на
рыбную ловлю, и применяются правила.
Кемпинг — см. раздел «Сон» ниже.
Открытая лужайка к северу от здания эколого-просветительского центра
используется в качестве вертолетной площадки на случай чрезвычайной
ситуации. Кемпинг в этом районе запрещен.
На острове нет никаких
торговых точек.
На острове нет вывоза мусора. Отдыхающие и посетители
должны упаковать весь мусор.
Гавань Эллиотт-Ки составляет примерно 2
½ фута во время отлива. Отлив рассчитывается путем добавления трех
часов и двадцати пяти минут к отливу на правительственном разрезе
Майами. Прилив рассчитывается путем добавления двух часов и двадцати
восьми минут к приливу в Правительственном разрезе.
Лодки могут
швартоваться на любом из 36 стапелей. Плата за ночную стыковку в размере
25 долларов США взимается с 18:00 до 6:00 с ноября по апрель.
Использование одного отдельного кемпинга включено в плату за стыковку.
Зарегистрируйтесь в киоске на краю гавани.
Домашние животные на
поводке разрешены в развитых районах Эллиот-Ки. Домашних животных нельзя
оставлять без присмотра.
Комары могут быть распространены круглый
год.
На северной стороне стремительного Цезарь-Крик. В этом дневном
районе, где можно ходить от рассвета до заката, когда-то располагался
знаменитый клуб Cocolobo, место уединения для таких людей, как Карл
Фишер, Гар Вуд и президенты Хардинг, Гувер, Джонсон и Никсон. Короткая
тропа ведет через деревянный гамак, а также имеется павильон для пикника
и туалеты. На острове живут две семьи смотрителей парка.
Тропа
морского наследия
Тропа морского наследия национального парка Бискейн
предлагает захватывающую возможность исследовать останки некоторых из
многочисленных затонувших кораблей в парке. Пять затонувших кораблей,
охватывающих почти столетие и самых разных размеров и типов судов, были
подготовлены для всеобщего обозрения. Эти приготовления включают в себя
картографирование, установку швартовных буев и изготовление
индивидуальных водонепроницаемых карт для каждого затонувшего корабля.
Доступ к затонувшим кораблям возможен только на лодке, и все, кроме
Мандалая, лучше всего подходят для аквалангистов. Mandalay предлагает
беспрецедентную возможность для любителей подводного плавания испытать
затонувший корабль. Концессионер парка будет время от времени
предоставлять доступ к участкам Тропы морского наследия. Звоните +1
305-230-1100.
Арратун Апкар - затонул в 1878 году. В 1870-х годах
маяк на мысе Флорида считался неподходящим из-за его удаленности от
линии рифов. Когда Arratoon Apcar сел на мель, это произошло в
нескольких сотнях ярдов от того места, где рабочие были заняты
строительством маяка Fowey Rocks.
Эрл Кинг - Затонувший 1891. Эрл
Кинг отражает ранний период перехода от деревянных парусных судов к
стальным пароходам.
Алисия - затонула в 1905 году. Алисия была
нагружена шелками, столовым серебром и другими прекрасными предметами
домашнего обихода, когда она села на мель на Лонг-Рифе. Последовавшие за
этим, часто ожесточенные бои между 70 различными группами вредителей
привели к постоянному пересмотру законов США о спасении.
Лугано -
затонул в 1913 году. На момент посадки на мель Лугано был самым большим
судном, когда-либо потерпевшим крушение во Флорида-Кис.
Mandalay -
затонул в 1966 году. Шхуна Mandalay со стальным корпусом была известна
как «Корабль красной ковровой дорожки флота Windjammer» и была оснащена
палубой из тика и красного дерева.
Лодочная экскурсия по Бока-Чите. Насладитесь трехчасовым круизом на
лодке с натуралистом из парка, поднимитесь на маяк и исследуйте остров
Бока-Чита. Экскурсии стоят 30 долларов для взрослых и 20 долларов для
молодежи. Забронировать места можно через Ассоциацию национальных парков
Южной Флориды по телефону +1 786-335-3644.
Деятельность рейнджеров.
Смотрите расписание мероприятий парка. редактировать
Рыбалка и
катание на лодках Рыболовы и лодочники могут спустить свои лодки с
пристаней округа, прилегающих к парку, чтобы отправиться в залив Бискейн
и исследовать прибрежные коралловые рифы. Остановитесь в центре для
посетителей, чтобы узнать правила и приобрести морские карты. Для любых
лодок, пришвартованных после 18:00, в гаванях Бока-Чита и Эллиот-Ки
взимается плата за ночную стоянку в размере 15 долларов США.
Катание
на каноэ и байдарках Любители гребли могут исследовать мангровые заросли
побережья материка. Каноэ и байдарки арендует концессионер парка.
Зайдите в центр для посетителей, чтобы узнать о погодных условиях и
предлагаемых маршрутах.
Туристический центр Данте Фаселла, +1 305-230-1100. с 9:00 до 17:00. В сувенирном магазине продаются футболки и другие сувениры. Книжный магазин, которым управляет Ассоциация национальных парков Южной Флориды, продает различные образовательные товары. Доходы идут на образовательные и научные мероприятия в четырех национальных парках Южной Флориды.
В парке нет ресторанов, но в сувенирном магазине парка продаются разнообразные расфасованные сэндвичи, чипсы, мороженое и газированные напитки. В близлежащих городах и поселках есть множество ресторанов с полным спектром услуг.
Проживание
Ближайший мотель и гостиница находятся в Хомстеде и
Флорида-Сити.
Кемпинг
В национальном парке Бискейн есть два
кемпинга. Оба находятся на островах, и добраться до этих островов можно
только на лодке. Частные лодки могут добраться до кемпинга круглый год.
В Национальном парке Бискейн нет кемпинга на колесах.
Сборы:
25 долларов США за ночь за сайт с ноября по апрель.
Сборы
являются обязанностью туриста и должны быть оплачены по прибытии. Любое
судно в гавани после 18:00 считается остановкой на ночь, и сборы должны
быть оплачены наличными (купюрами или монетами, только 20 долларов США
или меньше) в киоске рядом с гаванью.
Бока-Чита-Ки — самый
популярный остров в парке. На нем есть открытый, травяной кемпинг у воды
со столами для пикника и грилями. Туалеты на острове есть, но нет ни
умывальников, ни душа, ни питьевой воды.
Эллиот-Ки располагает
прибрежными и лесными зонами для кемпинга. Палаточный лагерь находится
на стороне залива острова между краем гамака и в пределах 25 футов от
гавани. Кемпинг в порядке живой очереди – бронирование отдельных
кемпингов не принимается. Групповой кемпинг с грилем для барбекю и
столами для пикника расположен на восточной стороне (со стороны океана)
острова, примерно в 1/3 мили (500 м) ходьбы от гавани, и его можно
забронировать, позвонив по телефону 305-230-1144 доб. . 3071. Костровое
кольцо на восточной стороне острова рядом с групповым лагерем —
единственное место в парке, где разрешен открытый наземный огонь.
Имеются столы для пикника и грили. Имеются туалеты с раковинами и душем
с холодной водой. Питьевая вода доступна на острове, но возьмите с собой
немного воды в качестве меры предосторожности, если система выйдет из
строя. Две тропы пролегают через тропический гамак острова. Одна тропа
проходит через все 7 миль (11,26 км) острова (14 миль (22,5 км) туда и
обратно), а другая делает петли примерно на одну милю возле гавани.
Бэккантри
В парке нет бэккантри-кемпинга — разбивайте лагерь
только в специально отведенных местах.
Бесплатный круглосуточный экстренный номер: +1-800-788-0511 или #NPS
на мобильный.
Есть глухой кемпинг на Эллиот-Ки. вы должны получить
разрешение от штаб-квартиры, чтобы разбить лагерь в глубинке.